Close Menu

    Subscribe to Updates

    Get the latest creative news from FooBar about art, design and business.

    What's Hot

    ¿Una marmota como meteoróloga? La insólita tradición que se festeja en Estados Unidos y Canadá 🎉❄️

    2 de febrero de 2026

    Día de la Candelaria y los Tamales en Coscomatepec: tradición, sabor y cultura viva.

    2 de febrero de 2026

    Sheinbaum regaña a morenistas de Baja California a reforzar trabajo con la ciudadanía

    2 de febrero de 2026
    Facebook X (Twitter) Instagram
    • Inicio
    • Coscomatepec
    • Noticias
    • Lo mejor de redes
    • Los Podcasts
    • Escúchanos en vivo
    Cosco FMCosco FM
    Portada » Conagua prevé lluvias intensas en cinco estados del país
    Noticias

    Conagua prevé lluvias intensas en cinco estados del país

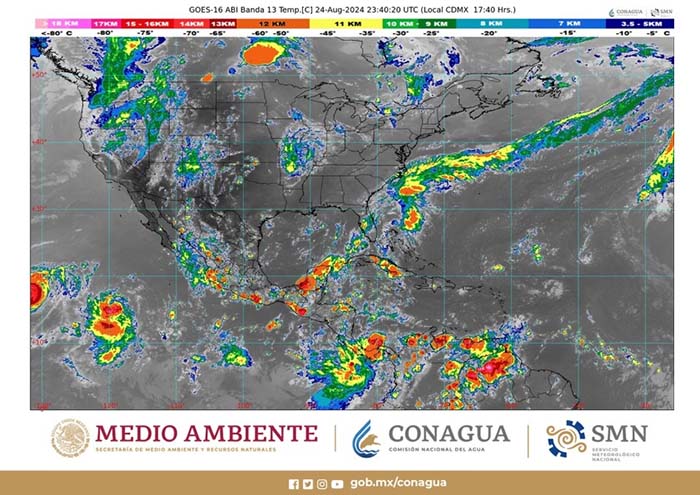
    En la península de Baja California se mantiene la vigilancia sobre una zona de baja presión localizada al suroeste, con 80% de probabilidad para desarrollo ciclónico en 48 horas.
    De la redacciónBy De la redacción26 de agosto de 2024No hay comentarios2 Mins Read
    Facebook Twitter WhatsApp Email
    Share
    Facebook Twitter WhatsApp Email

    El Servicio Meteorológico Nacional (SMN) de la Comisión Nacional del Agua (Conagua) prevé para este domingo lluvias puntuales intensas en Campeche, Chiapas, Oaxaca, Tabasco y el sur de Veracruz; muy fuertes en Chihuahua, Jalisco, Nayarit, Sinaloa, Sonora y Yucatán; fuertes en Colima, Ciudad de México, Durango, Estado de México, Guerrero, Michoacán, Morelos, Puebla, Quintana Roo y Tamaulipas; chubascos (de 5 a 25 mm) en Baja California Sur, Coahuila, Guanajuato, Hidalgo, Nuevo León, Querétaro, San Luis Potosí, Tlaxcala y Zacatecas, así como lluvias aisladas (de 0.1 a 5 mm) en Aguascalientes.

    Lo anterior, debido a la onda tropical número 19 sobre el sureste mexicano, canales de baja presión sobre el noreste, centro, occidente y sur del país, el aire húmedo que llegará del océano Pacífico, y golfo de México, inestabilidad en niveles altos de la atmósfera y por el monzón mexicano.

    Las precipitaciones de fuertes a intensas podrían generar deslaves, incremento en niveles de ríos y arroyos, así como desbordamientos e inundaciones en zonas bajas, por lo que se exhorta a la población a atender los avisos del SMN de la Conagua, y seguir las recomendaciones de Protección Civil.

    Además, se prevén temperaturas mínimas de 0 a 5 grados Celsius en zonas altas del Estado de México, Puebla, Tlaxcala y Veracruz.

    Hacia la tarde, se pronostican temperaturas máximas de 40 a 45 grados Celsius en Baja California; de 35 a 40 grados en Baja California Sur, Campeche, Chiapas, Chihuahua, Coahuila, Nuevo León, Oaxaca, Quintana Roo, Sinaloa, Sonora, Tabasco, Tamaulipas, Veracruz y Yucatán, así como de 30 a 35 grados en Colima, Durango, Guerrero, Jalisco, Michoacán, Morelos, Nayarit, el suroeste de Puebla, San Luis Potosí y Zacatecas.

    Se esperan rachas de viento de 40 a 60 km/h en Baja California, Baja California Sur, Campeche, Chiapas, Chihuahua, Ciudad de México, Coahuila, Durango, Estado de México, Guanajuato, Hidalgo, Morelos, Nuevo León, Puebla, Querétaro, Quintana Roo, San Luis Potosí, Sonora, Tabasco, Tamaulipas, Veracruz, Yucatán, Zacatecas y el istmo de Tehuantepec, en Oaxaca.

    De la redacción
    De la redacción
    • Website

    Related Posts

    ¿Una marmota como meteoróloga? La insólita tradición que se festeja en Estados Unidos y Canadá 🎉❄️

    Sheinbaum regaña a morenistas de Baja California a reforzar trabajo con la ciudadanía

    Mariano Barbacid, científico clave en la investigación contra el cáncer de páncreas

    Veracruz reconoce derechos legales a las mascotas

    ACOVER y CEAPP refuerzan coordinación en apoyo al gremio periodístico

    Enero cerrará con frío extremo: nuevo frente frío traerá heladas, lluvias y vientos intensos en gran parte del país

    Add A Comment
    Leave A Reply Cancel Reply

    Reproductor de Radio en vivo
    No te pierdas:
    Noticias

    ¿Una marmota como meteoróloga? La insólita tradición que se festeja en Estados Unidos y Canadá 🎉❄️

    Cada 2 de febrero, mientras en México celebramos el Día de la Candelaria, en Estados…

    Día de la Candelaria y los Tamales en Coscomatepec: tradición, sabor y cultura viva.

    2 de febrero de 2026

    Sheinbaum regaña a morenistas de Baja California a reforzar trabajo con la ciudadanía

    2 de febrero de 2026

    Mariano Barbacid, científico clave en la investigación contra el cáncer de páncreas

    31 de enero de 2026
    Mantente conectado
    • Facebook
    • Twitter
    • Instagram
    • YouTube
    • TikTok
    • WhatsApp
    • Spotify
    Una joya de Coscomatepec Veracruz

    Suscríbete

    Facebook X (Twitter) Instagram YouTube WhatsApp TikTok Spotify
    • Inicio
    • Coscomatepec
    • Noticias
    • Lo mejor de redes
    • Los Podcasts
    • Escúchanos en vivo
    © 2026 COSCO FM

    Type above and press Enter to search. Press Esc to cancel.